前十字靭帯断裂というと、ジャンプや転倒などによる急な外傷を思い浮かべる方が多いかもしれません。
しかし、トイプードルのような小型犬やシニア犬では、実際には**外傷ではなく「靭帯の変性」によって自然に切れるタイプ(変性型断裂)**がほとんどです。
この変性型断裂は、長年にわたる膝関節への小さな負担の積み重ねで靭帯が徐々に弱くなり、ある日突然、軽い動きで“プツッ”と切れる形で発症します。
多くの飼い主が「特にケガをした覚えがないのに急に足を挙げた」と感じるのはこのためです。
加齢による組織変化、ホルモンバランス、関節炎の進行なども関係しており、8歳以降の小型犬では特に注意が必要です。
当院では、断裂に至る前の「部分断裂」や「軽度の不安定性」も早期に発見できるよう、触診・X線・関節エコーによる総合的な膝評価を行っています。
早期に手術を行うことで、関節炎の進行を最小限に抑え、歩行機能を長く保つことが可能です。
実績詳細
トイプードル(3.4kg)の前十字靭帯断裂に対するTPLO術(脛骨高平部水平化骨切術)☑
| 種類 | トイプードル |
|---|---|
| 年齢 | 12歳 |
| 診療科目 | 軟部外科・整形外科 |
| 症状 | 左後肢を挙上している。 |
症状の概要
検査結果
触診では膝関節に腫脹と軽度の疼痛があり、前方引き出し試験(クラニアルドロアサイン)および脛骨圧迫試験でいずれも陽性反応を示しました。
レントゲン検査では膝蓋靭帯前方の脂肪パッドサイン(ファットパッドサイン)が明瞭で、関節内液貯留と軽度の関節炎変化を認めました。
これらの結果から、左前十字靭帯完全断裂と診断しました。
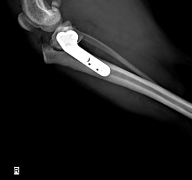
治療方法

治療・術後経過
前十字靭帯断裂というと、ジャンプや転倒などによる急な外傷を思い浮かべる方が多いかもしれません。
しかし、トイプードルのような小型犬やシニア犬では、実際には**外傷ではなく「靭帯の変性」によって自然に切れるタイプ(変性型断裂)**がほとんどです。
この変性型断裂は、長年にわたる膝関節への小さな負担の積み重ねで靭帯が徐々に弱くなり、ある日突然、軽い動きで“プツッ”と切れる形で発症します。
多くの飼い主が「特にケガをした覚えがないのに急に足を挙げた」と感じるのはこのためです。
加齢による組織変化、ホルモンバランス、関節炎の進行なども関係しており、8歳以降の小型犬では特に注意が必要です。
当院では、断裂に至る前の「部分断裂」や「軽度の不安定性」も早期に発見できるよう、触診・X線・関節エコーによる総合的な膝評価を行っています。
早期に手術を行うことで、関節炎の進行を最小限に抑え、歩行機能を長く保つことが可能です。
お気軽に
ご相談ください
中志津本院043-462-1122 受付時間 9:00~11:30 15:00〜18:30
大崎台分院043-483-1212 受付時間 9:00~11:30 14:00~17:30
